• জাতীয়
  • আন্তর্জাতিক
  • সারাদেশ
  • খেলাধুলা
  • বিনোদন
  • ক্যাম্পাস
  • ভিডিও

২০২৫-২৬ অর্থবছরের প্রাক-বাজেট আলোচনা অনুষ্ঠিত

অন্যান্য

আল-ফাহলাতাইন পর্বত: হজযাত্রার ঐতিহাসিক মিলনস্থল

অন্যান্য

বাংলাদেশ ফাইন্যান্সের নতুন চেয়ারম্যান ইকবাল ইউ আহমেদ

অন্যান্য

হোলসেল ক্লাবে চলছে ‘ঈদ ধামাকা’ ক্যাম্পেইন

অন্যান্য

কৃষিখাতে সরকারের মনোযোগ কম, অভিযোগ হোসেন জিল্লুর রহমানের

অন্যান্য

মাসিক স্বাস্থ্যবিধি দিবসে গুড নেইবারসের বিশেষ অনুষ্ঠান

অন্যান্য

এশীয় আমেরিকান ঐতিহ‍্য সম্মাননা পেলেন তাহিরুল ইসলাম

অন্যান্য

ফেসবুকে লাইক বাড়াতে ‘ড. ইউনূসকে পাঁচ বছরের জন্য ক্ষমতায় চাই’ স্লোগান— ডিসমিসল্যাবের রিপোর্ট

অন্যান্য

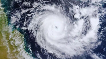
ধেয়ে আসছে ঘূর্ণিঝড় ‘শক্তি’, রেকর্ড বৃষ্টি হতে পারে যেসব জেলায়

অন্যান্য

এক্স ক্যান্ট. বিইউএসএমএস অ্যালামনাই ঢাকা চ্যাপ্টার ২০২৫ সিরিজের পুনর্মিলনী অনুষ্ঠিত

অন্যান্য

সাংবাদিকতায় গ্লোবাল এক্সিলেন্স লিডারশিপ পুরস্কার পেলেন যমুনা টিভির আরেফিন শাকিল

অন্যান্য

অবুঝ শিশুটি ফিরে যেতে চায় বাবা-মায়ের কাছে

অন্যান্য

এই ওয়েবসাইটের কোনো লেখা বা ছবি অনুমতি ছাড়া নকল করা বা অন্য কোথাও প্রকাশ করা সম্পূর্ণ বেআইনি । সর্বস্বত্ব স্বত্বাধিকার সংরক্ষিত © Jamuna Television Ltd . LIVE | Privacy Policy | Terms | About Us | Contact |